우리동네

 

 

 

작년의 10월의 초순에, 오키나와(okinawa) 현의, 미야코(miyako) 섬에, 2박3일로, 여행하러 갔다 왔을 때의 물건입니다.

 

 

이하, 「이하, 미야코(miyako) 섬, 짧은 여행&음식 4로부터의 계속입니다...」라고 하는 문장까지는, 전회의 투고와 거의 같은 문장입니다(전회의 투고를, 보린 (분)편은, 날려 주세요).

 

 

오키나와(okinawa) 현은, 일본의 47의 도도부현(prefecture) 중의 하나로, 일본의 도도부현(prefecture)안에서, 최남단에 위치하는 현입니다(오키나와(okinawa) 현의 기후는, 열대성으로부터 아열대성이 되고 있습니다).오키나와(okinawa) 현은, 1879년까지, 류큐(ryukyu) 왕국이라고 하는 독립국이었던 때문, 일본안에서, 꽤 개성적인 문화를 가지는 지역이 되고 있습니다(오키나와(okinawa) 현의 전통 문화는, 지리적 조건 및, 중계 무역나라로서 번창한 역사로부터, 매우 대잡파 말하면, 일본・중국・동남아시아・오세아니아(Oceania)의 요소가 들어가 섞인 문화라고 하는 느낌일까...).또, 오키나와(okinawa) 현은, 제이차 세계대전의 일본의 패전에 수반해, 1945년부터, 1972년에 일본에 반환될 때까지, 미국의 통치하에 놓여져 있던 일등으로부터, 오키나와(okinawa) 현의 현대문화는, 일본의 타지역의, 그것보다, 미국의 영향을 강하게 받고 있다고 하는 특징을 가지고 있어 그 일이, 게다가 오키나와(okinawa) 현의 문화를, 일본안에서, 개성적인 물건으로 하고 있는(뭐, 제이차 세계대전 후의, 미국으로부터의 영향에 의한, 현대, 오키나와(okinawa) 문화의 개성은, 오키나와(okinawa) 현이, 긴 력사 중(안)에서 길러 온, 오키나와(okinawa) 현의 전통 문화의 개성에 비하면, 미미한 물건이라고 생각합니다만...).오키나와(okinawa) 현은, 매우 많은 열대적이고 아름다운 비치(beach)와 매력적인 문화를 가지는 일로부터, 일본의 타지역으로부터, 매우 많은 관광객・보양객이 방문합니다.덧붙여서, 오키나와(okinawa) 현의 바다의, 산호(coral)의 종류의 수는, 오스트레일리아의, 그레이트 배리어 리프(Great Barrier Reef)의, 산호(coral)의 종류의 수를, 웃돌고 있습니다.

 

 

(이 때, 저희들이 방문한) 미야코(miyako) 섬은, 오키나와(okinawa) 모토지마(hontou)(오키나와(okinawa) 현의 중심이 되고 있는, 오키나와(okinawa) 현에서 최대의 섬)로부터, 남서로 약 300 km의 장소에 있는 섬입니다.미야코(miyako) 섬은, 면적, 약 160평방 km(주위의 섬들을 포함한 면적은, 약 200평방 km)의 섬에서, 주위의 섬들이 포함한 인구는, 약 5만명으로, 오키나와(okinawa) 현의 섬들안에서, 오키나와(okinawa) 모토지마(hontou)(오키나와(okinawa) 현의 중심이 되고 있는, 오키나와(okinawa) 현에서 최대의 섬)에 이어 2위가 되고 있습니다(오키나와(okinawa) 모토지마(hontou)란, 압도적인 차이가 있습니다만...).미야코(miyako) 섬의 바다는, (바다가 아름답다) 오키나와(okinawa) 현안에서도 유수(최고 수준), 한편, 일본에서도, 유수(최고 수준), 게다가 아마, 세계에서도 유수(최고 수준)의, 아름다운 바다가 되고 있습니다.

 

 

이 때의 여행시는, 날씨에는, 대체로, 풍족하고 있었습니다만, 꽤, 쾌청(구름이 없다.혹은, 구름이 적은 맑음)이라고 말하는 것에 가지 않고, 전반적으로, 개여 있어도, 구름이, 매우 많았습니다.쾌청(구름이 없다.혹은, 구름이 적은 맑음)이라면, 더, 깨끗한 바다의 색(바다의 경치)을 즐길 수가 있습니다만, 그런데도, 미야코(miyako) 섬의, 아름다운 바다의 경치를 충분히, 만끽할 수가 있었습니다.

 

 

 

이 때의 여행은, 현지에서의 교통 수단은, 소형자동차의, 렌트카(rent-a-car)를 이용했습니다(체제중, 쭉 소형자동차의 렌트카를 빌리고 있었습니다(체제중, 쭉, 렌트카 회사(car rental company)로부터, 소형자동차를 빌리고 있었습니다)).

 

 

이 때, 저희들은, 미야코(miyako) 섬의, 요나하 마에하마(yonaha maehama) 비치(beach)(아래의 보충 설명 참조)에 접해 세우는, 고급 class의, 리조트(resort) 호텔, 미야코(miyako) 섬, 토큐(tokyu) 리조트(resort) 호텔에 숙박했습니다(이 호텔에 대해서는, 전회의 투고, 참조).고급 리조트(resort) 호텔입니다만, 초고급 리조트(resort) 호텔이라고 말하는 것에서는, 전혀 없고, 고급 리조트(resort) 호텔안에서는, 적당한 가격으로 숙박 할 수 있는 분입니다.낡은 리조트(resort) 호텔입니다만, 멘테넌스(maintenance)・개장은, 제대로 되고 있어 쾌적합니다.미야코(miyako) 섬, 토큐(tokyu) 리조트(resort) 호텔에 숙박한 것은, 이 때로, 2번째였습니다.
요나하 마에하마(yonaha maehama) 비치(beach):미야코(miyako) 섬의, 남서부에 위치하는 비치(beach).7 km에 이르는, 아름다운, 백사의 모래 사장이 계속 되는 비치(beach).단순하게, 마에하마(maehama) 비치(beach)로 불리는 일도 많다.미야코(miyako) 섬 및, 그 주위의 섬들에는, 아름다운 비치(beach)가, 많이 있지만, 그 미야코(miyako) 섬(주위의 섬들을 포함한다)의 비치(beach)안에서도, 대표적인 비치(beach)(미야코(miyako) 섬을, 대표하는 비치(beach)).

 

 

 

 

이하, 미야코(miyako) 섬, 짧은 여행&음식 4로부터의 계속입니다...

 

 

사진 이하 5매.이 때(이 때의, 미야코(miyako) 섬체제중), 호텔의 객실에서, 간식・야식등으로서 먹고 있던, 과자의 일부.

 

사진 이하 3매.행에, 도쿄의, 하네다(haneda) 공항에서 산, 과자.설탕(sugar) 버터(butter)의 나무라고 말하는, 일본의, 서양 과자.화이트 초콜릿(white chocolate)를, 버터(butter)와 설탕으로 맛내기를 해 구운 시리얼(cereal)로 사이에 둔, 과자입니다.설탕(sugar) 버터(butter)의 나무는, 이 때, 처음으로 먹었습니다만, 뭐, 보통이라고 한 느낌이었습니다(뭐, 맛있었지만, 특별, 맛있다고 할 정도가 아니고, 평범이라고 한 느낌...).

 

 

 

 

 

 

 

 

 

 

 

 

 

 

 

 

 

 

 

사진 이하 2매는, 도쿄로부터 가져 온, 과자.

 


 

이미, 개봉하고, 먹고 있는 도중에 촬영했습니다만, 일본의 대규모 과자 회사의, 가루차(녹차 ・green tea)의 초콜릿을, 초콜릿의 쿠키(cookie)로, 사이에 둔 쿠키(cookie).이런 종류의, 대량생산의, 싼 쿠키(cookie)로서는, 맛있습니다.

 

 

 

 

요그렛트(상당히 옛부터 있는, 일본의, 요구르트(yogurt) 미의 정제(tablet) 형의, 과자)의, 카르피스(calpis) 미판이라고 한 느낌의, 과자.
카르피스(calpis):1919년부터 판매되고 있는, 일본의, 단, 유제품계 음료.기본적으로는, 요구르트(yogurt) 계의 소프트 드링크(soft drink)라고 한 맛입니다만, 독특한 농후한 맛과 청량감이 있는, 뒷맛이 있습니다.

 

 

 

 

 

사진 이하 4매.이 때(이 때의, 미야코(miyako) 섬체제중), 호텔의 객실에서 마신, 음료의 일부.모두, 이 때, 현지(오키나와(okinawa) 현의, 미야코(miyako) 섬)에서, 산 것.

 

 

시크서(shikwasa) 홍차(tea with 시크서(shikwasa).시크서(shikwasa)는, 오키나와(okinawa) 현에서 많이 재배되고 있는, 산미가, 매우 강한, 밀감계의 과일(식용으로서 레몬(lemon)이나 유자나무와 같이 사용된다)입니다.

 

 

 

 

 

그녀가 마신, 홍우, 현미 drink.홍우는, 오키나와(okinawa) 현에서, 잘 먹을 수 있고 있는, 보라색이나 적색의, 고구마(sweet potato)(자우라고도 불린다) 또는 참마과의 감자입니다.

 

 

 

 

 

산핀(sanpin) 차.산핀(sanpin) 차는, 쟈스민차(jasmine tea)의, 오키나와(okinawa)에서의 통칭입니다.산핀(sanpin) 차는, 오키나와(okinawa) 현에서, 매우, 잘 마셔지고 있는, 차입니다.오키나와(okinawa)의 산핀(sanpin) 차는, 통상의 쟈스민차(jasmine tea)보다, 향기가, 조심스럽습니다.

 

 

 

 

 

오키나와(okinawa) 한정의 디자인(design)의 캔의, 코카콜라(coke).덧붙여서, 이, 오키나와(okinawa) 한정의 디자인(design)의 캔의, 코카콜라(coke)는, 250 ml들이의 캔입니다만, 오키나와(okinawa)에서도, 보통 디자인(design)의, 350 ml들이의 캔의, 코카콜라(coke)도, 팔리고 있습니다(라고 말하는지, 보통 디자인(design)의, 350 ml들이의 캔의, 코카콜라(coke)가, 많이 팔리고 있습니다.이, 오키나와(okinawa) 한정의 디자인(design)의 캔의, 코카콜라(coke)는, 관광객 전용이라고 한 느낌일까...).

 

 

 

 

 

 

이하, 이 때의 2일째(이하, 이 날이라고 씁니다)부터입니다...

 

 

사진 이하 3매.이 날의 아침, 호텔의 객실(이 때.저희들이, 숙박한 객실)의, 발코니(balcony)에서 본 경치.이 날의 아침은, 유감스럽지만 흐림.개여 있으면, 바다의 색은.이것보다, 훨씬 깨끗합니다(뭐, 흐림에서도, 바다의 색이, 이만큼 깨끗이 보인다고 하는 일은, 굉장한 일이라고 생각합니다).

 

 

 

 

 

 

 

 

 

 

 

 

 

 

 

 

 

 

 

 

사진 이하 8매.이 날의 아침 식사는, 호텔의, 바이킹(buffet) 레스토랑에서, 아침 식사(breakfast) 바이킹(buffet)을 먹었습니다.

 

 

 

 

 

 

 

 

 

 

 

 

 

 

 

 

옥외석으로 먹었습니다.

 

 

 

 

 

 

사진 이하 5매.이 때, 내가, 이 호텔의, 바이킹(buffet) 레스토랑의, 아침 식사(breakfast) 바이킹(buffet)으로 먹은 것.이 때, 나는, 이 외, 다양한(여러가지) 빵(흑당(흑설탕)(오키나와(okinawa)는, 흑설탕의 산지로서 유명합니다)를 사용한 빵, 홍우(오키나와(okinawa) 현에서, 잘 먹을 수 있고 있는, 보라색이나 적색의, 고구마(sweet potato)(자우라고도 불린다) 또는 참마과의 감자)를 사용한 빵등 , 오키나와(okinawa)다운 빵도 놓여져 있습니다), 팬케이크(pancake), 과일, 요구르트(yogurt)를 먹었습니다.

 

 

 

접시의 우상은, 쪄 야채(홍우(오키나와(okinawa) 현에서, 잘 먹을 수 있고 있는, 보라색이나 적색의, 고구마(sweet potato)(자우라고도 불린다) 또는 참마과의 감자), 고야(니가우리 ・bitter melon).고야(니가우리 ・bitter melon)는, 오키나와(okinawa) 현에서, 잘 먹을 수 있고 있는 야채입니다) 등 ).쪄 야채에 걸려 있는 것은, 개성적인, 바냐카우다(bagna cauda) 소스(sauce)(맛있습니다).쪄 야채는, 한 그릇 더 했습니다.접시의, 좌하는, 통조림의 돼지고기(SPAM나 TULIP등.오키나와(okinawa)에서는, 포크(pork)로 불리는 것이 많은 같습니다).통조림의 돼지고기(SPAM나 TULIP등 )는, 오키나와(okinawa) 현 이외의 일본에서는, 거의 먹을 수 있고 있지 않습니다만, 오키나와(okinawa) 현에서는, 잘 사용되는 식재가 되고 있습니다.오키나와(okinawa) 현은, 제이차 세계대전의 일본의 패전에 수반해, 1945년부터, 1972년에 일본에 반환될 때까지, 미국의 통치하에 놓여져 있었습니다만, 제이차 세계대전 후, 오키나와(okinawa) 현이, 미국에 통치되고 있었던 시대, 아직, 오키나와(okinawa) 현이, 제이차 세계대전의 황폐의 자취에 의해, 궁핍했던 때에, 미군이, 오키나와(okinawa)에 반입한, 통조림의 돼지고기가, 현지의 오키나와(okinawa)의 사람들의 사이로, (통상의) 돼지고기의 대용품으로서 퍼져, 서민의 식재로서 정착한 같습니다.

 

 

 

 

 

 

사진위.이 때, 내가 마신, 음료의 일부.왼쪽에서, 그아바(guava) 쥬스(juice), 고야(니가우리 ・bitter melon).오키나와(okinawa) 현에서, 잘 먹을 수 있고 있는 야채) 방문 야채 쥬스(juice), 망고(mango) 쥬스(juice).

 

 

 

 

 

 

접시의, 사진 우상의, 물고기의 튀김은, 이라브챠의 튀김(확실히...).이라브챠는, 브다이(parrotfish)의, 오키나와(okinawa)에서의 통칭입니다.오키나와(okinawa)에서는, 이라브챠(parrotfish)는, 잘 먹을 수 있고 있습니다.접시의 좌상은, 고야(니가우리 ・bitter melon) 체프르(chanpuru).고야(니가우리 ・bitter melon) 체프르(chanpuru)는, 오키나와(okinawa) 현의, 서민적인 가정 요리의 하나로, 오키나와(okinawa) 현의, 대표적인 가정 요리의 하나입니다.고야(니가우리 ・bitter melon) 체프르(chanpuru)는, 적어도, 오키나와(okinawa) 현의 사람들 이외의 일본인이, 오키나와(okinawa) 현의 가정 요리라고 말하면, 최초로, 떠올리는 요리는 아닐까요...고야(니가우리 ・bitter melon)는, 오키나와(okinawa) 현에서, 잘 먹을 수 있고 있는 야채입니다.접시의 좌하는, 부(fu)(그르텐 (gluten)(을)를, 주된, 원료로 한, 가공 식품(식재).일본 본토에서도, 잘 먹을 수 있고 있습니다(일본 본토의 요리의 식재로서도, 잘 사용됩니다)) 체프르(chanpuru)(오키나와(okinawa) 현의, 서민적인 가정 요리의 하나).

 

 

 

 

 

 

햄(ham), 치즈(cheese) 넣은의, 오믈렛(omelette).녹색의 물건은, 바질(basil)의 소스(sauce)입니다.오믈렛(omelette)은, 실연 방식(바이킹(buffet)에 대하고, 미리 만든 것을 놓아두는 것이 아니라, 콕(cook)이, 그 자리에서, 요리를 만드는 형식)입니다.오믈렛(omelette)은, 하나 더 먹었던(하나 더 먹은 오믈렛(omelette)은, 그녀의 흉내를 내고, 치즈(cheese)만 들어간, 오믈렛(omelette)을 만들어 받아, (사라다(salad) 용의), 가루 치즈(cheese)와 망고(mango)의 드레싱(dressing)을 쳐 먹었습니다(맛있었습니다)).

 

 

 

 

 

 

야채 사라다(salad).사라다(salad)에는, 망고(mango)의 드레싱(dressing)도 치고 있습니다.사라다(salad)는, 한잔 더, 먹었습니다.

 

 

 

 

 

 

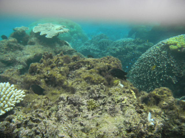
사진 이하 14매.이 날의 오전중은, 미야코(miyako) 섬의 비치(beach)(해안)의, 하나로, 슈노케링(snorkeling)을 즐겼습니다.꼬리가 잡히는 것 같은, 얕은 장소에서도, 많은 종류의, 선명한 물고기를, 간단하게 볼 수가 있습니다.

 

사진 이하 14매.이 때, 내가 촬영한 사진.이 때, 매우 간단하고 쉬운(간단한, 슈노케링(snorkeling) 등 용의), 디지탈 카메라(digital camera) 용무의, 방수의(underwater・waterproof) 케이스(case・housing)를 사용하고, 처음으로, 수중에서 사진을 촬영해 보았습니다.첫, 수중에서의 사진 촬영으로, 익숙해지지 않는 데다가, 이 때, 가지고 간 디지탈 카메라(digital camera)(현재, 내가 가지고 있는 디지탈 카메라(digital camera) 중(안)에서, 제일, 잘 사용하고 있는 디지탈 카메라(digital camera).싸구려의 디지탈 카메라(digital camera)이지만, 가볍고, 컴팩트하고(얇아서), 쓰기 쉽다)가, 슬라이드식의 전원으로, 디지탈 카메라(digital camera) 용무의, 방수의(underwater・waterproof) 케이스(case・housing) 중(안)에서, 조작을 하는 것이, 어려운 디지탈 카메라(digital camera)이기 때문에(위해)(잘 생각하지 않고 , 이 디지탈 카메라(digital camera)의 크기에 배합한, 디지탈 카메라(digital camera) 용무의, 방수의(underwater・waterproof) 케이스(case・housing)를 사 버리고, 조금 실패 w), 능숙하게 사진이 찍히지 않았습니다.사실은, 이것보다, 아득하게, 다양한 종류의 어들이나, 선명한 어들, 큰 어들을 볼 수가 있습니다만(이 때도, 간단하게, 가까이, 볼 수가 있었습니다), 사진에서는 능숙하게 표현 할 수 없는(사진에는, 능숙하게, 찍을 수 없다) 것이, 조금 유감...


 

 

 

 

 

 

 

 

 

 

 

 

 

 

 

 

 

 

 

 

 

 

 

 

 

 

 

 

 

 

 

 

 

 

 

 

 

사진 이하 9매의, 상부의 흰 것은, 디지탈 카메라(digital camera) 용무의, 방수의(underwater・waterproof) 케이스(case・housing)가 비쳐 버린 것...

 

 

 

 

 

 

 

 

 

 

 

 

 

 

 

 

 

 

 

 

 

 

 

 

 

 

 

 

 

 

 

 

 

 

 

 

 

 

 

 

 

 

 

 

 

 

 

 

 

 

 

 

 

 

 

 

 

 

 

 

 

 

 

사진 이하.슈노케링(snorkeling)을 즐긴 다음은, 호텔에 돌아오고, 호텔의 객실에서, 발코니(balcony)로부터, 매우 아름다운, 바다의 경치를 바라보거나 침대(bed)에서, 창넘어로, 바다의 경치를 바라보면서 낮잠을 자거나 하고, 한가롭게 보냈습니다.이 때, 저희들이, 숙박한, 토큐(tokyu) 리조트(resort) 호텔은, 요나하 마에하마(yonaha maehama) 비치(beach)(아래의 보충 설명 참조)에 접해 세우는, 리조트(resort) 호텔에서, 객실의 창이나 발코니(balcony)로부터, 요나하 마에하마(yonaha maehama) 비치(beach)의, 매우 아름다운, 바다의 경치를 즐길 수가 있습니다.
요나하 마에하마(yonaha maehama) 비치(beach):미야코(miyako) 섬의, 남서부에 위치하는 비치(beach).7 km에 이르는, 아름다운, 백사의 모래 사장이 계속 되는 비치(beach).단순하게, 마에하마(maehama) 비치(beach)로 불리는 일도 많다.미야코(miyako) 섬 및, 그 주위의 섬들에는, 아름다운 비치(beach)가, 많이 있지만, 그 미야코(miyako) 섬(주위의 섬들을 포함한다)의 비치(beach)안에서도, 대표적인 비치(beach)(미야코(miyako) 섬을, 대표하는 비치(beach)).요나하 마에하마(yonaha maehama) 비치(beach)는, 동양1(아시아1(아시아에서 최고))의 비치(beach)를, 자칭?하고 있습니다.정말로, 동양1(아시아1(아시아에서 최고))의 비치(beach) 화도인가는, 모릅니다만, 확실히, 바다의 색의 아름다움, 백사의 아름다움, 백사의 질, 규모등의, 종합적인 평가에 대하고, 같은, 오키나와(okinawa)의, 게라마(kerama) 제도의 비치(beach), 쿠메(kume) 섬의, 하테(hate)의 바닷가, 하테루마(hateruma) 섬의, 니시(nishi) 바닷가 비치(beach) 등과 함께, 오키나와(okinawa) 현 뿐만 아니라, 일본에서도 유수(일본, 최고 수준)의 매력을 가지는 비치(beach)의 하나임과 동시에, 세계적으로 봐도, 매우 매력적인 비치(beach)의 하나이다고 생각하는(바다의 아름다움에 관해서는, 게라마(kerama) 제도의 비치(beach), 쿠메(kume) 섬의, 하테(hate)의 바닷가, 하테루마(hateruma) 섬의, 니시(nishi) 바닷가 비치(beach)에 진다고 생각합니다만(역시, 바다의 아름다움에 관해서는, 게라마(kerama) 제도가, 일본에서 제일(세계에서도, 최고 수준)은 아닐까요...), 그 이외의, 상당한 면에 관해서는, 요나하 마에하마(yonaha maehama) 비치(beach)가, 이것등의 비치(beach)를, 웃돌고 있다고 생각합니다).

 

 

 

사진 이하.이 때, 호텔의 객실(이 때, 저희들이, 숙박한 객실)의, 발코니(balcony) 및, 객실중에서 촬영한, 호텔의 앞의 바다(요나하 마에하마(yonaha maehama) 비치(beach)의 바다)의, 경치.구름은, 어느 정도 있었습니다만, 날씨는 맑음으로, 매우, 깨끗한 바다의 경치를 즐길 수가 있었습니다.

 

 

 

 

 

 

 

 

 

 

 

 

 

 

 

 

 

 

 

 

 

 

 

 

 

 

 

 

 

 

 

 

 

 

 

 

 

 

 

 

 

 

 

 

 

 

 

 

 

 

 

 

 

 

 

 

 

 

 

 

 

 

 

 

 

 

 

 

 

 

 

 

 

 

 

 

 

 

 

 

 

 

 

 

 

 

 

 

 

 

 

 

 

 

 

 

 

 

 

 

 

 

 

 

 

 

 

 

 

 

 

 

 

 

 

 

 

 

 

 

 

 

 

 

 

 

 

 

 

 

 

 

 

 

 

 

 

 

 

 

 

 

 

 

 

 

 

 

 

 

 

 

 

 

 

 

 

 

 

 

 

 

 

 

 

 

 

 

 

 

 

 

 

 

 

 

 

 

 

 

 

 

 

 

 

 

 

 

 

 

 

 

 

 

 

 

 

 

 

 

 

 

 

 

 

 

 

 

 

 

 

 

 

 

 

 

 

 

 

 

 

 

 

 

 

 

 

 

 

 

 

 

 

 

 

 

 

 

 

 

 

 

 

 

 

 

 

 

 

 

 

 

 

 

 

 

 

 

 

 

 

 

 

 

 

 

 

 

 

 

 

 

 

 

 

 

 

 

 

 

 

 

 

 

 

 

 

 

 

 

 

 

 

 

 

 

 

 

 

 

 

 

 

 

 

 

 

 

 

 

 

 

 

 

 

 

 

 

 

 

 

 

 

 

 

 

 

 

 

 

 

 

 

 

 

 

 

 

 

 

 

 

 

 

 

미야코(miyako) 섬, 짧은 여행&음식 6에 계속 된다...















宮古(miyako)島、小旅行&食べ物5

 

 

 

去年の10月の上旬に、沖縄(okinawa)県の、宮古(miyako)島に、二泊三日で、旅行に行って来た時の物です。

 

 

以下、「以下、宮古(miyako)島、小旅行&食べ物4からの続きです。。。」と言う文までは、前回の投稿と、ほぼ同じ文です(前回の投稿を、ご覧になられた方は、飛ばして下さい)。

 

 

沖縄(okinawa)県は、日本の47の都道府県(prefecture)の内の一つで、日本の都道府県(prefecture)の中で、最南端に位置する県です(沖縄(okinawa)県の気候は、熱帯性から亜熱帯性となっています)。沖縄(okinawa)県は、1879年まで、琉球(ryukyu)王国と言う独立国だった為、日本の中で、かなり個性的な文化を有する地域となっています(沖縄(okinawa)県の伝統文化は、地理的条件及び、中継貿易国として栄えた歴史から、とても大雑把言えば、日本・中国・東南アジア・オセアニア(Oceania)の要素が入り混じった文化と言う感じかな。。。)。また、沖縄(okinawa)県は、第二次世界大戦の日本の敗戦に伴い、1945年から、1972年に日本に返還されるまで、アメリカの統治下に置かれていた事等から、沖縄(okinawa)県の現代文化は、日本の他地域の、それよりも、アメリカの影響を強く受けていると言う特徴を持っており、その事が、さらに、沖縄(okinawa)県の文化を、日本の中で、個性的な物にしています(まあ、第二次世界大戦後の、アメリカからの影響による、現代、沖縄(okinawa)文化の個性は、沖縄(okinawa)県が、長い歴史の中で育んで来た、沖縄(okinawa)県の伝統文化の個性に比べれば、微々たる物だと思いますが。。。)。沖縄(okinawa)県は、非常に多くの熱帯的で美しいビーチ(beach)と魅力的な文化を有する事から、日本の他地域から、非常に多くの観光客・保養客が訪れます。ちなみに、沖縄(okinawa)県の海の、珊瑚(coral)の種類の数は、オーストラリアの、グレートバリアーリーフ(Great Barrier Reef)の、珊瑚(coral)の種類の数を、上回っています。

 

 

(この時、私達が訪れた)宮古(miyako)島は、沖縄(okinawa)本島(hontou)(沖縄(okinawa)県の中心となっている、沖縄(okinawa)県で最大の島)から、南西に約300kmの場所にある島です。宮古(miyako)島は、面積、約160平方km(周囲の島々を含めた面積は、約200平方km)の島で、周囲の島々の含めた人口は、約5万人で、沖縄(okinawa)県の島々の中で、沖縄(okinawa)本島(hontou)(沖縄(okinawa)県の中心となっている、沖縄(okinawa)県で最大の島)に次いで2位となっています(沖縄(okinawa)本島(hontou)とは、圧倒的な差がありますが。。。)。宮古(miyako)島の海は、(海が美しい)沖縄(okinawa)県の中でも有数(最高水準)、且つ、日本でも、有数(最高水準)、さらに、おそらく、世界でも有数(最高水準)の、美しい海となっています。

 

 

この時の旅行時は、天気には、概ね、恵まれていたのですが、中々、快晴(雲がない。若しくは、雲が少ない晴れ)と言う訳に行かず、全般的に、晴れていても、雲が、とても多かったです。快晴(雲がない。若しくは、雲が少ない晴れ)ならば、もっと、綺麗な海の色(海の景色)を楽しむ事が出来るのですが、それでも、宮古(miyako)島の、美しい海の景色を十分に、堪能する事が出来ました。

 

 

 

この時の旅行は、現地での交通手段は、小型自動車の、レンタカー(rent-a-car)を利用しました(滞在中、ずっと小型自動車のレンタカーを借りていました(滞在中、ずっと、レンタカー会社(car rental company)から、小型自動車を借りていました))。

 

 

この時、私達は、宮古(miyako)島の、与那覇前浜(yonaha maehama)ビーチ(beach)(下の補足説明参照)に面して建つ、高級classの、リゾート(resort)ホテル、宮古(miyako)島、東急(tokyu)リゾート(resort)ホテルに宿泊しました(このホテルについては、前回の投稿、参照)。高級リゾート(resort)ホテルですが、超高級リゾート(resort)ホテルと言う訳では、全くなく、高級リゾート(resort)ホテルの中では、手頃な値段で宿泊出来る方です。古いリゾート(resort)ホテルですが、メンテナンス(maintenance)・改装は、しっかりとなされており、快適です。宮古(miyako)島、東急(tokyu)リゾート(resort)ホテルに宿泊したのは、この時で、2回目でした。
与那覇前浜(yonaha maehama)ビーチ(beach):宮古(miyako)島の、南西部に位置するビーチ(beach)。7kmに及ぶ、美しい、白砂の砂浜が続くビーチ(beach)。単純に、前浜(maehama)ビーチ(beach)と呼ばれる事も多い。宮古(miyako)島及び、その周囲の島々には、美しいビーチ(beach)が、たくさんあるが、その宮古(miyako)島(周囲の島々を含む)のビーチ(beach)の中でも、代表的なビーチ(beach)(宮古(miyako)島を、代表するビーチ(beach))。

 

 

 

 

以下、宮古(miyako)島、小旅行&食べ物4からの続きです。。。

 

 

写真以下5枚。この時(この時の、宮古(miyako)島滞在中)、ホテルの客室で、間食・夜食等として食べていた、お菓子の一部。

 

写真以下3枚。行きに、東京の、羽田(haneda)空港で買った、お菓子。シュガー(sugar)バター(butter)の木と言う、日本の、西洋菓子。ホワイトチョコレート(white chocolate)を、バター(butter)と砂糖で味付けをして焼いたシリアル(cereal)で挟んだ、お菓子です。シュガー(sugar)バター(butter)の木は、この時、初めて食べましたが、まあ、普通と言った感じでした(まあ、美味しかったけど、特別、美味しいと言う程ではなく、平凡と言った感じ。。。)。

 

 

 

 

 

 

 

 

 

 

 

 

 

 

 

 

 

 

 

写真以下2枚は、東京から持って来た、お菓子。

 


 

既に、開封して、食べている途中に撮影しましたが、日本の大規模菓子会社の、抹茶(緑茶・green tea)のチョコレートを、チョコレートのクッキー(cookie)で、挟んだクッキー(cookie)。この種の、大量生産の、安いクッキー(cookie)としては、美味しいです。

 

 

 

 

ヨーグレット(結構古くから有る、日本の、ヨーグルト(yogurt)味の錠剤(tablet)型の、お菓子)の、カルピス(calpis)味版と言った感じの、お菓子。
カルピス(calpis):1919年から販売されている、日本の、甘い、乳製品系飲料。基本的には、ヨーグルト(yogurt)系のソフトドリンク(soft drink)と言った味ですが、独特の濃厚な味と、清涼感のある、後味が有ります。

 

 

 

 

 

写真以下4枚。この時(この時の、宮古(miyako)島滞在中)、ホテルの客室で飲んだ、飲み物の一部。全て、この時、現地(沖縄(okinawa)県の、宮古(miyako)島)で、買った物。

 

 

シークヮーサー(shikwasa)紅茶(tea with シークヮーサー(shikwasa)。シークヮーサー(shikwasa)は、沖縄(okinawa)県で多く栽培されている、酸味が、非常に強い、蜜柑系の果物(食用として、レモン(lemon)や柚子の様に使われる)です。

 

 

 

 

 

彼女が飲んだ、紅芋、玄米drink。紅芋は、沖縄(okinawa)県で、よく食べられている、紫色や赤色の、サツマイモ(sweet potato)(紫芋とも呼ばれる)又は山芋科の芋です。

 

 

 

 

 

サンピン(sanpin)茶。サンピン(sanpin)茶は、ジャスミン茶(jasmine tea)の、沖縄(okinawa)での呼び名です。サンピン(sanpin)茶は、沖縄(okinawa)県で、とても、よく飲まれている、お茶です。沖縄(okinawa)のサンピン(sanpin)茶は、通常のジャスミン茶(jasmine tea)よりも、香りが、控え目です。

 

 

 

 

 

沖縄(okinawa)限定のデザイン(design)の缶の、コカコーラ(coke)。ちなみに、この、沖縄(okinawa)限定のデザイン(design)の缶の、コカコーラ(coke)は、250ml入りの缶ですが、沖縄(okinawa)でも、普通のデザイン(design)の、350ml入りの缶の、コカコーラ(coke)も、売られています(と言うか、普通のデザイン(design)の、350ml入りの缶の、コカコーラ(coke)の方が、多く売られています。この、沖縄(okinawa)限定のデザイン(design)の缶の、コカコーラ(coke)は、観光客向けと言った感じかな。。。)。

 

 

 

 

 

 

以下、この時の2日目(以下、この日と書きます)からです。。。

 

 

写真以下3枚。この日の朝、ホテルの客室(この時。私達が、宿泊した客室)の、バルコニー(balcony)から見た景色。この日の朝は、残念ながら曇り。晴れていれば、海の色は。これよりも、ずっと綺麗です(まあ、曇りでも、海の色が、これだけ綺麗に見えると言う事は、凄い事だと思います)。

 

 

 

 

 

 

 

 

 

 

 

 

 

 

 

 

 

 

 

 

写真以下8枚。この日の朝食は、ホテルの、バイキング(buffet)レストランで、朝食(breakfast)バイキング(buffet)を食べました。

 

 

 

 

 

 

 

 

 

 

 

 

 

 

 

 

屋外席で食べました。

 

 

 

 

 

 

写真以下5枚。この時、私が、このホテルの、バイキング(buffet)レストランの、朝食(breakfast)バイキング(buffet)で食べた物。この時、私は、この他、色々な(様々な)パン(黒糖(黒砂糖)(沖縄(okinawa)は、黒砂糖の産地として有名です)を使ったパン、紅芋(沖縄(okinawa)県で、よく食べられている、紫色や赤色の、サツマイモ(sweet potato)(紫芋とも呼ばれる)又は山芋科の芋)を使ったパン等、沖縄(okinawa)らしいパンも置いてあります)、パンケーキ(pancake)、果物、ヨーグルト(yogurt)を食べました。

 

 

 

皿の右上は、蒸し野菜(紅芋(沖縄(okinawa)県で、よく食べられている、紫色や赤色の、サツマイモ(sweet potato)(紫芋とも呼ばれる)又は山芋科の芋)、ゴーヤ(ニガウリ・bitter melon)。ゴーヤ(ニガウリ・bitter melon)は、沖縄(okinawa)県で、よく食べられている野菜です)等)。蒸し野菜にかかっているのは、個性的な、バーニャカウダ(bagna cauda)ソース(sauce)(美味しいです)。蒸し野菜は、お代わりしました。皿の、左下は、缶詰の豚肉(SPAMやTULIP等。沖縄(okinawa)では、ポーク(pork)と呼ばれる事が多い様です)。缶詰の豚肉(SPAMやTULIP等)は、沖縄(okinawa)県以外の日本では、ほとんど食べられていませんが、沖縄(okinawa)県では、よく使われる食材となっています。沖縄(okinawa)県は、第二次世界大戦の日本の敗戦に伴い、1945年から、1972年に日本に返還されるまで、アメリカの統治下に置かれていましたが、第二次世界大戦後、沖縄(okinawa)県が、アメリカに統治されていた時代、まだ、沖縄(okinawa)県が、第二次世界大戦の荒廃の名残により、貧しかった時に、アメリカ軍が、沖縄(okinawa)に持ち込んだ、缶詰の豚肉が、現地の沖縄(okinawa)の人々の間で、(通常の)豚肉の代用品として広まり、庶民の食材として定着した様です。

 

 

 

 

 

 

写真の上。この時、私が飲んだ、飲み物の一部。左から、グアバ(guava)ジュース(juice)、ゴーヤー(ニガウリ・bitter melon)。沖縄(okinawa)県で、よく食べられている野菜)入り野菜ジュース(juice)、マンゴー(mango)ジュース(juice)。

 

 

 

 

 

 

皿の、写真右上の、魚の揚げ物は、イラブチャーの揚げ物(確か。。。)。イラブチャーは、ブダイ(parrotfish)の、沖縄(okinawa)での呼び名です。沖縄(okinawa)では、イラブチャー(parrotfish)は、よく食べられています。皿の左上は、ゴーヤー(ニガウリ・bitter melon)チャンプルー(chanpuru)。ゴーヤー(ニガウリ・bitter melon)チャンプルー(chanpuru)は、沖縄(okinawa)県の、庶民的な家庭料理の一つで、沖縄(okinawa)県の、代表的な家庭料理の一つです。ゴーヤー(ニガウリ・bitter melon)チャンプルー(chanpuru)は、少なくとも、沖縄(okinawa)県の人々以外の日本人が、沖縄(okinawa)県の家庭料理と言えば、最初に、思い浮かべる料理ではないでしょうか。。。ゴーヤー(ニガウリ・bitter melon)は、沖縄(okinawa)県で、よく食べられている野菜です。皿の左下は、麩(fu)(グルテン (gluten)を、主な、原料とした、加工食品(食材)。日本本土でも、よく食べられています(日本本土の料理の食材としても、よく使われます))チャンプルー(chanpuru)(沖縄(okinawa)県の、庶民的な家庭料理の一つ)。

 

 

 

 

 

 

ハム(ham)、チーズ(cheese)入りの、オムレツ(omelette)。緑色の物は、バジル(basil)のソース(sauce)です。オムレツ(omelette)は、実演方式(バイキング(buffet)において、あらかじめ作った物を置いておくのではなく、コック(cook)が、その場で、料理を作る形式)です。オムレツ(omelette)は、もう一つ食べました(もう一つ食べたオムレツ(omelette)は、彼女の真似をして、チーズ(cheese)だけ入った、オムレツ(omelette)を作って貰い、(サラダ(salad)用の)、粉チーズ(cheese)とマンゴー(mango)のドレッシング(dressing)をかけて食べました(美味しかったです))。

 

 

 

 

 

 

野菜サラダ(salad)。サラダ(salad)には、マンゴー(mango)のドレッシング(dressing)もかけています。サラダ(salad)は、もう一杯、食べました。

 

 

 

 

 

 

写真以下14枚。この日の午前中は、宮古(miyako)島のビーチ(beach)(海岸)の、一つで、シュノーケリング(snorkeling)を楽しみました。足が付く様な、浅い場所でも、たくさんの種類の、色鮮やかな魚を、簡単に見る事が出来ます。

 

写真以下14枚。この時、私が撮影した写真。この時、とても簡易な(簡単な、シュノーケリング(snorkeling)等用の)、デジカメ(digital camera)用の、防水の(underwater・waterproof)ケース(case・housing)を使って、初めて、水中で写真を撮影して見ました。初めての、水中での写真撮影で、慣れない上に、この時、持って行ったデジカメ(digital camera)(現在、私が持っているデジカメ(digital camera)の中で、一番、よく使っているデジカメ(digital camera)。安物のデジカメ(digital camera)だが、軽くて、コンパクトで(薄くて)、使い易い)が、スライド式の電源で、デジカメ(digital camera)用の、防水の(underwater・waterproof)ケース(case・housing)の中で、操作をするのが、難しいデジカメ(digital camera)である為(よく考えずに、このデジカメ(digital camera)の大きさに合せた、デジカメ(digital camera)用の、防水の(underwater・waterproof)ケース(case・housing)を買ってしまって、ちょっと失敗w)、上手く写真が撮れませんでした。本当は、これよりも、はるかに、色々な種類の魚達や、色鮮やかな魚達、大きな魚達を見る事が出来るのですが(この時も、簡単に、間近に、見る事が出来ました)、写真では上手く表現出来ない(写真には、上手く、写せない)のが、少し残念。。。


 

 

 

 

 

 

 

 

 

 

 

 

 

 

 

 

 

 

 

 

 

 

 

 

 

 

 

 

 

 

 

 

 

 

 

 

 

写真以下9枚の、上部の白い物は、デジカメ(digital camera)用の、防水の(underwater・waterproof)ケース(case・housing)が写り込んでしまった物。。。

 

 

 

 

 

 

 

 

 

 

 

 

 

 

 

 

 

 

 

 

 

 

 

 

 

 

 

 

 

 

 

 

 

 

 

 

 

 

 

 

 

 

 

 

 

 

 

 

 

 

 

 

 

 

 

 

 

 

 

 

 

 

 

写真以下。シュノーケリング(snorkeling)を楽しんだ後は、ホテルに戻って来て、ホテルの客室で、バルコニー(balcony)から、とても美しい、海の景色を眺めたり、ベッド(bed)から、窓越しに、海の景色を眺めながら昼寝をしたりして、のんびりと過ごしました。この時、私達が、宿泊した、東急(tokyu)リゾート(resort)ホテルは、与那覇前浜(yonaha maehama)ビーチ(beach)(下の補足説明参照)に面して建つ、リゾート(resort)ホテルで、客室の窓やバルコニー(balcony)から、与那覇前浜(yonaha maehama)ビーチ(beach)の、とても美しい、海の景色を楽しむ事が出来ます。
与那覇前浜(yonaha maehama)ビーチ(beach):宮古(miyako)島の、南西部に位置するビーチ(beach)。7kmに及ぶ、美しい、白砂の砂浜が続くビーチ(beach)。単純に、前浜(maehama)ビーチ(beach)と呼ばれる事も多い。宮古(miyako)島及び、その周囲の島々には、美しいビーチ(beach)が、たくさんあるが、その宮古(miyako)島(周囲の島々を含む)のビーチ(beach)の中でも、代表的なビーチ(beach)(宮古(miyako)島を、代表するビーチ(beach))。与那覇前浜(yonaha maehama)ビーチ(beach)は、東洋一(アジア一(アジアで最高))のビーチ(beach)を、自称?しています。本当に、東洋一(アジア一(アジアで最高))のビーチ(beach)かどうかは、分かりませんが、確かに、海の色の美しさ、白砂の美しさ、白砂の質、規模等の、総合的な評価において、同じく、沖縄(okinawa)の、慶良間(kerama)諸島のビーチ(beach)、久米(kume)島の、ハテ(hate)の浜、波照間(hateruma)島の、ニシ(nishi)浜ビーチ(beach)等と並んで、沖縄(okinawa)県のみならず、日本でも有数(日本、最高水準)の魅力を持つビーチ(beach)の一つであると共に、世界的に見ても、非常に魅力的なビーチ(beach)の一つであると思います(海の美しさに関しては、慶良間(kerama)諸島のビーチ(beach)、久米(kume)島の、ハテ(hate)の浜、波照間(hateruma)島の、ニシ(nishi)浜ビーチ(beach)に負けると思いますが(やはり、海の美しさに関しては、慶良間(kerama)諸島が、日本で一番(世界でも、最高水準)ではないでしょうか。。。)、それ以外の、かなりの面に関しては、与那覇前浜(yonaha maehama)ビーチ(beach)が、これ等のビーチ(beach)を、上回っていると思います)。

 

 

 

写真以下。この時、ホテルの客室(この時、私達が、宿泊した客室)の、バルコニー(balcony)及び、客室の中から撮影した、ホテルの前の海(与那覇前浜(yonaha maehama)ビーチ(beach)の海)の、景色。雲は、ある程度ありましたが、天気は晴れで、とても、綺麗な海の景色を楽しむ事が出来ました。

 

 

 

 

 

 

 

 

 

 

 

 

 

 

 

 

 

 

 

 

 

 

 

 

 

 

 

 

 

 

 

 

 

 

 

 

 

 

 

 

 

 

 

 

 

 

 

 

 

 

 

 

 

 

 

 

 

 

 

 

 

 

 

 

 

 

 

 

 

 

 

 

 

 

 

 

 

 

 

 

 

 

 

 

 

 

 

 

 

 

 

 

 

 

 

 

 

 

 

 

 

 

 

 

 

 

 

 

 

 

 

 

 

 

 

 

 

 

 

 

 

 

 

 

 

 

 

 

 

 

 

 

 

 

 

 

 

 

 

 

 

 

 

 

 

 

 

 

 

 

 

 

 

 

 

 

 

 

 

 

 

 

 

 

 

 

 

 

 

 

 

 

 

 

 

 

 

 

 

 

 

 

 

 

 

 

 

 

 

 

 

 

 

 

 

 

 

 

 

 

 

 

 

 

 

 

 

 

 

 

 

 

 

 

 

 

 

 

 

 

 

 

 

 

 

 

 

 

 

 

 

 

 

 

 

 

 

 

 

 

 

 

 

 

 

 

 

 

 

 

 

 

 

 

 

 

 

 

 

 

 

 

 

 

 

 

 

 

 

 

 

 

 

 

 

 

 

 

 

 

 

 

 

 

 

 

 

 

 

 

 

 

 

 

 

 

 

 

 

 

 

 

 

 

 

 

 

 

 

 

 

 

 

 

 

 

 

 

 

 

 

 

 

 

 

 

 

 

 

 

 

 

 

 

 

 

 

 

 

 

 

 

 

 

 

宮古(miyako)島、小旅行&食べ物6へ続く。。。
















TOTAL: 4630

번호 제목 글쓴이 날짜 조회 추천
2790
No Image
Shiodome SIO-SITE carbon 2015-01-08 2833 0
2789
No Image
SEOUL TOWER PALACE 프리스탈 2015-01-08 3775 0
2788
No Image
SEOUL FOREST Galleria 프리스탈 2015-01-08 2526 0
2787
No Image
SEOUL MESENA POLIS 프리스탈 2015-01-08 2512 0
2786
No Image
Tokyo Midtown carbon 2015-01-08 4023 0
2785
No Image
도쿄 미드타운·도라노몬 힐즈·록뽄....... carbon 2015-01-08 2916 0
2784
No Image
미야코(miyako) 섬, 짧은 여행&음식 6 jlemon 2015-01-08 5234 0
2783
No Image
서울 디큐브시티 프리스탈 2015-01-07 2350 0
2782
No Image
도쿄의 야경 carbon 2015-01-07 3956 0
2781
No Image
SEOUL의 야경 프리스탈 2015-01-07 3676 0
2780
No Image
TOKYO의 야경 carbon 2015-01-07 2361 0
2779
No Image
도쿄 스카이 트리 carbon 2015-01-07 2163 0
2778
No Image
미야코(miyako) 섬, 짧은 여행&음식 5 jlemon 2015-01-07 4706 0
2777
No Image
정말로 괜찮은가 ? carbon 2015-01-07 2405 0
2776
No Image
최근 롯데월드타워는 괜찮습니다. 프리스탈 2015-01-06 2151 0
2775
No Image
신쥬쿠 방면의 경치 carbon 2015-01-06 2340 0
2774
No Image
최근 롯데월드타워 프리스탈 2015-01-06 2142 0
2773
No Image
영등포에서 바라본 한강 프리스탈 2015-01-06 2264 0
2772
No Image
미야코(miyako) 섬, 짧은 여행&음식 4 jlemon 2015-01-04 4793 0
2771
No Image
도라노몬 힐즈에서 보았다··· carbon 2015-01-04 3217 0